На майдані Соборному у Житомирі 13 листопада з 9.00 год перекриють рух транспорту – наноситимуть дорожню розмітку.
Про це повідомляють на сайті Житомирської міської ради.
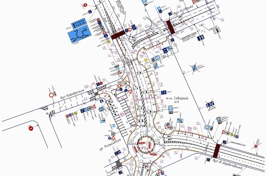
«13 листопада з 9.00буде перекрито рух транспорту на майдані Соборному для вжиття заходів щодо введення в дію тимчасової схеми організації дорожнього руху (схема додається), а саме: нанесення дорожньої розмітки, встановлення дорожніх знаків та огороджувальних бар’єрів. Просимо водіїв віднестися з розумінням за тимчасові незручності», – йдеться у повідомленні.
Нагадаємо, тимчасову обіцяну розмітку на дорожньому покритті мали нанести у суботу, 9 листопада, і раніше повідомляли про перекриття руху транспорту на Соборному майдані.
У коментарі Житомир.info заступник Житомирського міського голови Дмитро Ткачук уточнив, що намалювати розмітку підряднику завадили погодні умови.
«Була погана погода, був дощ і мряка і не змогли при такій погоді та температурі наносити розмітку. Перенесли на середу», – розповів Дмитро Ткачук.


Фото з сайту Житомирської міської ради
Нагадаємо, 25 жовтня 2019 року на житомирському майдані Соборному, де немає дорожньої розмітки, зіткнулися Lanos і KIA. Заступник Житомирського міського голови Дмитро Ткачук тоді казав, що розмітку на Соборному не наносять, оскільки поліція не дає на це погодження.
Як повідомляв Житомир.info, 26 вересня 2019 року заступник мера Житомира показав новий варіант схеми руху на Соборному. 16 жовтня на майдані Соборному встановили нові дорожні знаки, а 17 жовтня мали розпочати нанесення розмітки. Заступник міського голови Дмитро Ткачук стверджував, що до кінця тижня (до 20 жовтня) на майдані змінять організацію дорожнього руху за схемою, погодженою міською комісією з безпеки руху. 6 листопада на засіданні виконкому начальник управління транспорту та зв’язку Житомирської міської ради Костянтин Підпокровний розповів, що житомирська патрульна поліція погодила нову схему руху на майдані Соборному, яка діятиме вже з 10 листопада.




















