Міська комісія з питань безпеки дорожнього руху підтримала нову схему руху на майдані Соборному. В рамках Європейського тижня мобільності з 16 вересня по 22 вересня у центрі міста зміниться траєкторія руху.
За словами директор КП «Житомиртранспорт» Івана Фурлета, реалізація цього проєкту дозволить створити новий громадський простір, протестувати концепцію зміни дорожнього руху при реконструкції майдану та збільшити кількість дерев та зелені в центрі міста.
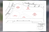
«Хочемо тимчасово, на тиждень, реорганізувати рух на майдані Соборному і зробити менше кільце, утиснути автомобілі до чотирьох смуг. Той простір, який вивільняється, перетворити на місце, де люди можуть відпочивати та проводити різні активності. Хочемо показати, що центр міста має належати людям, а не автомобілям», - розповідає Іван Фурлет.
Зокрема, рух по колу перенесуть ближче до драмтеатру та змінять кількість смуг. На вільному просторі організують зони відпочинку. Для проведення заходу планують залучати спонсорів.
«Заплановано, що розмітки будуть наноситись жовтою фарбою, межі проїжджої частини будуть відділи помаранчевими світловідбивними стовпчиками, які раніше вже були на майдані Соборному. Зараз ми шукаємо фінансування на реалізацію цього заходу. Організація цього дорожнього руху буде коштувати приблизно 200 тисяч гривень», - розповідає Іван Фурлет.
Загалом планують облаштувати п’ять зон відпочинку.
«Одна зона буде комерційно-харчова, де люди зможуть поїсти та випити кави. Паркова зона, яка є найбільшою, на ній буде організовано понад 80 дерев, кущів та трава. Концертно-освітня зона, на якій протягом дня будуть проводитись лекції та дискусії, а ввечері буде концерт. Також буде дитяча-спортивна територія, де можна буде грати в баскетбол та погратися дітям молодшого віку. Та загальна відпочинкова зона», - говорить радниця мера Житомира з питань мобільності Олена Чернишова.
Як повідомляв Житомир.info, 4 квітня 2017 року Верховна Рада змінила правила проїзду кругових перехресть.
Відеоваріанти реконструкції центральних житомирських майданів тут. Який вигляд мали житомирські майдани Соборний та Перемоги у травні 2019 року, дивіться тут.
Як повідомляв Житомир.info, на засіданні міськвиконкому 1 серпня 2018 року мер Сергій Сухомлин говорив, що на реконструкцію майданів Соборного та Перемоги Житомир може отримати грант в розмірі 10 млн євро. У листопаді 2018 року визначили команди архітекторів, які стали учасниками конкурсу на кращу концепцію реконструкції майданів Соборний та Перемоги (ЛКП «Інститут просторового розвитку», ГО «Урбан куратори», ТОВ «Ю Сі Джи» Всього на розгляд журі було подано 15 заявок. За результатами голосування журі перемога дісталася команді Львівського комунального підприємства «Інститут просторового розвитку», у складі Олександри Сладкової, Олени Зварич, Романа Зубачика, Андрія Чайка, Христини Чорноус, Юрія Последніченка та Миколи Шеремети. З їхньою конкурсною пропозицієюможна ознайомитись тут.




















